Preston Road Cycle Scheme
Consultation has concluded
The council has launched a six-week engagement exercise to seek feedback from the public and other stakeholders on the proposed preliminary design of the new cycle scheme planned for Preston Road.
Securing feedback on the preliminary designs is the next milestone and will help the council’s contractor move to a detailed design phase, with the council aiming to go out to tender later this year and start on site in spring 2025.
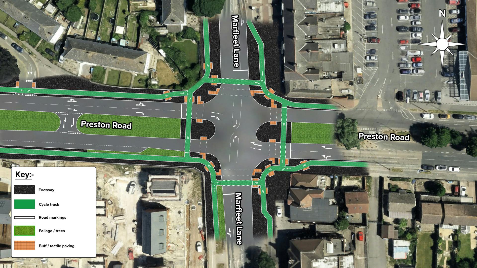
The proposals include the installation of off-road cycle lanes along Preston Road on both sides of the road, between Southcoates Avenue and Marfleet Lane, parallel to the footways, providing sperate facilities for both pedestrians and cyclists.
Similar to the cycle scheme planned for Freetown Way Cycle, cycle-optimised protected signals junctions, also known as CYCLOPS junctions, will also be introduced at Preston Road/Southcoates Avenue crossroads and Preston Road/Marfleet Lane crossroads.
There will also be some alterations to on-street parking at key locations, including the provision of additional parking to the east of Archbishop Sentamu Academy.

You can complete the survey online if you wish to leave feedback about this scheme.
What a CYCLOPS Junction is
CYCLOPS junctions, or a cycle-optimised protected signals junction, are appearing more and more in cities and towns across the UK.
The unique design of the CYCLOPS junction completely separates pedestrians and cyclists from motor traffic at junctions, reducing the possibility of collisions or conflict. Pedestrians are also able to get where they want to be in fewer stages with more space to wait than on other junction designs.
As well as minimising the number of potential signal phasing/stages to allow for movements around the junction, the CYCLOPS has other important benefits including -
- cyclist and pedestrian phases can run simultaneously
- pedestrian crossing times are shorter and closer to desire lines, including the potential for diagonal pedestrian crossings
- cyclists have protected right turn on a gentle radius and can filter left without signal control
- journey times for all modes navigating the junctions, including motor traffic, are not negatively affected.
How CYCLOPS junctions work
The outer 'ring' of the junction is a cycle lane, acting like a roundabout with signal-controlled crossings. This will allow those who cycle to cross over the junction or make right turns unrestricted by cars or foot traffic, creating a safe route to travel.
The inner 'ring' of the junction is dedicated to pedestrians, with those walking and cycling getting the same green light signal in all directions at the same time, but on a separate ring of paths in the middle of the junction.
There are well-defined zebra crossings on each side of the junction to provide a safe place to cross the cycle lane for pedestrians.
All motorised traffic stops at the lights whilst cyclists and pedestrians have their green light signal.
Once pedestrians and cyclists have passed, motorised traffic will get the green light signal to continue driving and use the junction like normal.





